Rif: CV2025/GR
SAN PIETRO MOSEZZO
NOVARA
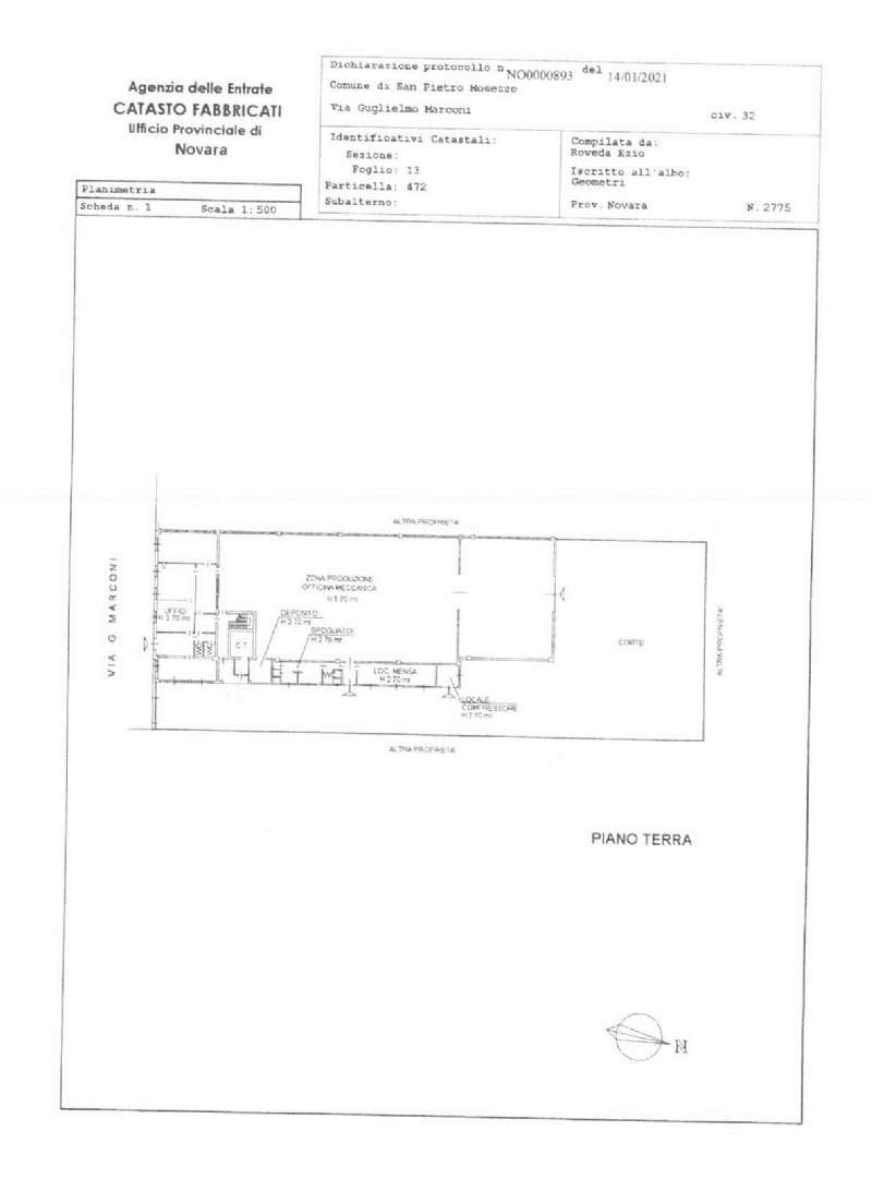
Rif: CV2025/GR - SAN PIETRO MOSEZZO (NO) in zona Industriale Vendesi capannone artigianale industriale di complessivi 990 mq. L'immobile è così suddiviso: Capannone zona produzione e magazzino mq. 178 altezza utile sottotrave mt 5. Ufficio, servizi igienici e locale tecnico mq. 175. In adiacenza al primo locale vi è la zona accessoria composta da servizi igienici, locale spogliatoio, mensa, ecc. della superfìcie di circa mq. 100,00. Al piano primo, collegato con scala interna Appartamento composto da ingresso/disimpegno, cucina, tre camere, due bagni e due ripostigli della superfìcie di circa mq. 160,00, con annessa terrazza della superficie di circa mq. 28,00.
Per info e sopralluogo telefonare ai nostri uffici.
Per info e sopralluogo telefonare ai nostri uffici.

